Sandy

The Orchards At Dimple Dell


The Orchards at Dimple Dell offers a rare chance to build a custom home in one of Sandy’s most established and sought-after areas. Tucked near the historic Dimple Dell corridor, this neighborhood has the kind of quiet, mature feel that’s hard to find anymore—tree-lined streets, open space nearby, and a true sense of place.

You’re just minutes from I-215 and I-15, which makes getting anywhere in the valley easy, but the neighborhood itself feels removed from the rush. Dimple Dell Regional Park and nearby trails are close enough for everyday walks, bike rides, or family outings, and schools, shopping, and dining are all right around the corner.

What makes The Orchards at Dimple Dell special is the opportunity to build something truly personal in an area that already feels established. With generous lots and a setting that values quality and character, homeowners can create a home that fits their lifestyle—whether that’s outdoor living space, thoughtful architectural details, or modern amenities designed for the way you live today. It’s a unique opportunity to build a custom home in a part of Sandy people rarely get to build in anymore.

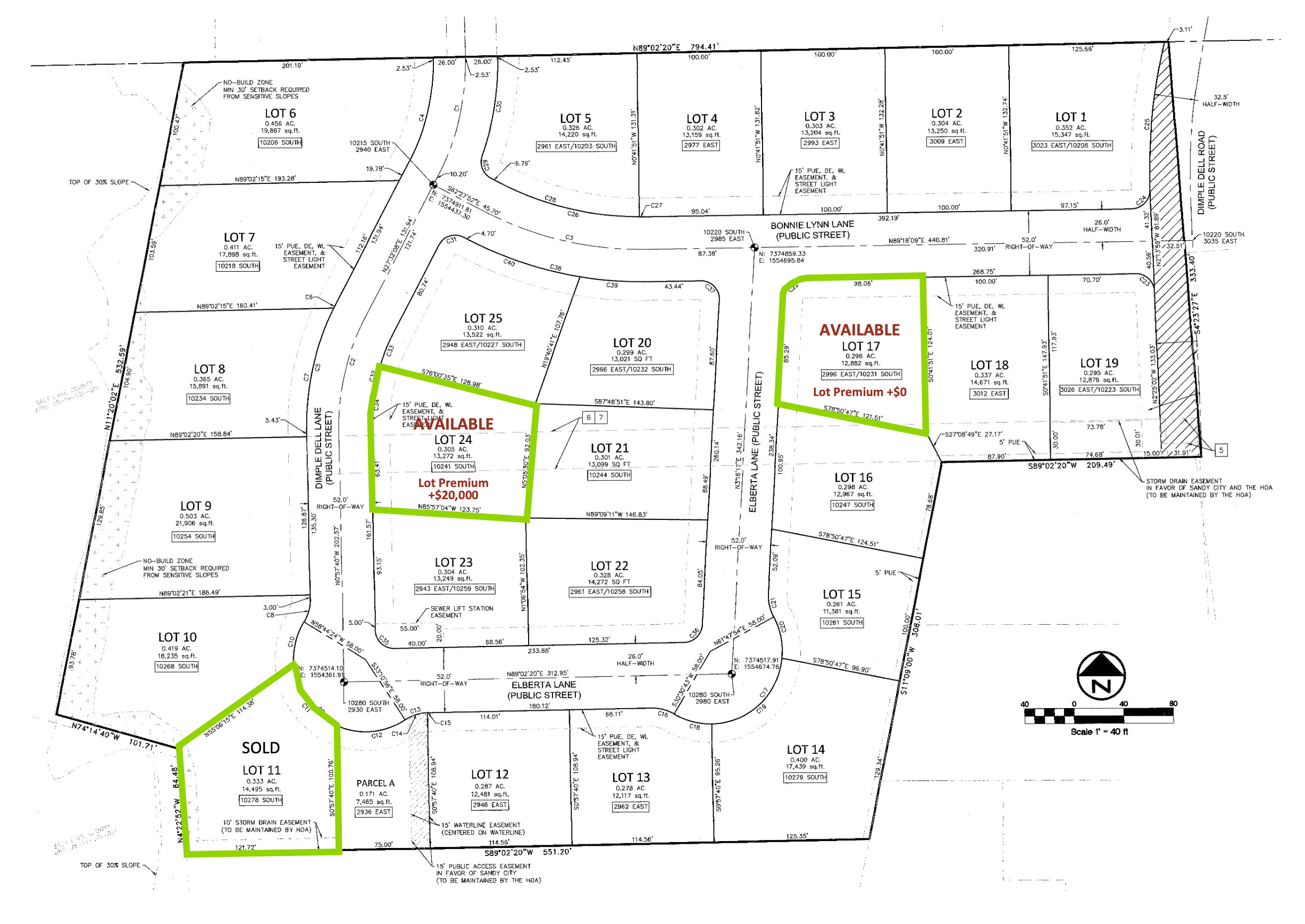
APPROXIMATE ADDRESS

10250 S 3000 E

AVAILABLE LOT SIZES

0.30 - 0.31 Acres

HOME PRICING

Starting around $1.6 - $1.7 Million

the orchards at dimple dell

To secure your lot in this exclusive subdivision, visit or call us today.